Бизнес-Центр «Линкор»

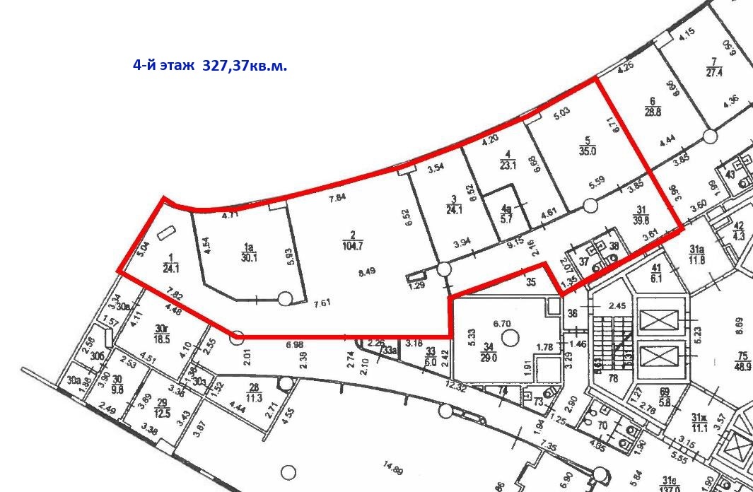
Предлагаем в аренду офис 327 кв.м. с отделкой.
Планировки: смешанные
Высота потолков 3,2 м.

БЦ «Линкор» — новое 15-этажное офисное здание с современными инженерными системами.

Система пожаротушения: сплинкерная.
Вентиляция: приточно-вытяжная.
Кондиционирование: центральное кондиционирование, фэн-койлы.
Энергоснабжение: от 80 Вт. на кв.м..
Коммуникации: оптоволокно, разводка СКС по потолку, полу и стенам.

На территории располагаются: столовая и рестораны, магазины, представительства банков, а также конференц-зал.

2-уровневая подземная парковка на 458 м/м (17 400р за 1 м/м) и охраняемая наземная – на 70 м/м (15 000р за 1 м/м).

Провайдеры: РосТелеком, Би-лайн Бизнес, Центр Телеграф, МТС, Центр Телеком, Звезда Телеком

Ставка аренды: 37 200 за кв. м. в год, включая эксплуатационные расходы и НДС.

Готов к въезду с 05 октября 2025 года
Ссылка на объявление: https://alfa-rielt.com/com/rentcommercial/91946
1 014 000 в месяц за все
Олег Макеев


Москва, улица Авиаконструктора Микояна, д 12
ЦСКА0.7 кмАэропорт0.9 кмЗорге1.5 км

Информация по объекту

Вид объектаОфис Площадь327 Этаж4 Юридический адресПредоставляется ПланировкаСмешанная Кол-во мокрых точек2 СостояниеОфисная отделка МебельНет НалогНДС включен

Информация по зданию

Название БЦЛинкор Тип строенияБизнес-центр Класс зданияB+ Этажей в доме15 КатегорияДействующее ВентиляцияПриточная КондиционированиеЦентральное ОтоплениеЦентральное Система пожаротушенияСигнализация ДоступПропускная система Номер налоговой14 ПарковкаНаземная Стоимость парковки15000

Цена и условия сделки

Тип арендыПрямая Срок арендыДлительный Минимальный срок аренды от11 Арендные каникулыЕсть Обеспечительный платеж4000000 Предоплата1

В ставку включены

check Эксплуатационные расходы

Инфраструктура

check Буфетcheck Столоваяcheck Центральная рецепция check Банкомат check Салон красоты check Ресторан check Супермаркетcheck Минимаркет